지난 10월 5일 찾아간곳은 대호 방조제 앞에 있는 바다낚시터 아쿠아 좌대 였습니다.
도비도 항에서 배를 타고 잠깐 들어가면 만나는 바다 좌대 낚시터입니다.
이번 출조에 함께 하는 조우들은 텐텐님과 반딧불님입니다.
대호만 1번 수로에서 밤낚시를 하고 새로운 경험을 위해 바다를찾았지만
이 두친구들은 이런 바다 좌대 낚시를 해 본적이 없습니다.
그러니 멋모르고 출조해서 못 잡으면 어쩌나 하는 걱정이 있었습니다.
아침 8시가 조금 지난 시간입니다.
채비와 미끼를 구입하고 선착장으로 이동합니다.

벌써 많은 꾼들이 배를 기다리고 있었습니다.

이날은 주말이라서 인지 많은 분들이 아쿠아 좌대를 찾고 있었습니다.
사장님이 배를 끌고 나오셔서 손님들을 좌대로 이동시키고 있습니다.

이번에 함께하는 텐텐님과 반딧불님입니다.
못 잡으면 점심 없다~~~

시원하게 물살을 가르며 달려 갑니다.
도비도항은 잘 알려진 삼길포항의 맞은편에 있습니다.

5분도 안걸려 좌대에 도착했습니다.
벌써 도착하신 분들이 낚시중입니다.

반갑게 인사하는 사모님.

지도에 보이는 대호방조제 앞에
아쿠아 좌대가 있습니다.

관리실에는 낚시대가 준비되어 있습니다.
무료로 빌려 주는데 미끼는 준비해 오시는것이 좋습니다.
미끼로는 꼴뚜기와 멸치 그리고 오징어를 사용합니다.

입어료는 7만원으로 오전 8시부터 오후 4시까지입니다.

왼쪽에 보이는곳이 삼길포 항입니다.
대호만 방조제 앞에 좌대들이 몰려 있습니다.

이곳에서 소비 되는 우럭은 직접 양식한다고 합니다.
낚시터와 양식장이 함께 존재 합니다.
따라서 이동으로 인한 스트레스가 없어
힘이 좋고 맛 또한 좋다고 합니다.

아쿠아 좌대 모습입니다.

가두리 5개와 자연식탕 2개가 있습니다.
지난주까지 자연지탕에서 고등어가 많이 나왔다는데
이날은 그리 나오지 않았고 전어가 조금 보였습니다.
이날은 숭어도 뜸하게 나왔습니다.
여름부터 가을까지 고등어가 붙기 시작해 그 또한 재미있다고합니다.

우리들의 호구? 호프? 두사람도 낚시를 시작합니다.
과연 잡을수 있을지...

아쿠아좌대에서 방류하는 어종은 주로 우럭이며
손님고기로 참돔과 농어를 방류합니다.
시작도 전에 멋진 우럭을 잡으신 분입니다.

단체로 오신 연세가 지긋하신 분들입니다.
라면부터 끓여 우선 배부터 든든하게 채웁니다.

어라~~
이게 뭔 시추에이션?

가두리 밖에 던져 놓은 낚시대에 광어가 나왔습니다.
이분은 첫 우럭에 이어 광어까지...

물고기 방류는 하류 3번으로 9시, 10시, 11시에 합니다.
우럭은 방류발로 방류 10분만에 다 나오는듯 합니다.
오전 9시에 1차 방류를 준비하고 있습니다.

아이구~~많다.
이곳에서 방류하는 우럭은 바로 옆에 붙어있는
가두리에서 직접 양식한다고 합니다.

방류발을 기다리시는 분들...

오전 9시에 첫 방류를 했습니다.
여기저기서 한꺼번에 화이팅중입니다.
이런 꼬마도 한마리 잡아 냅니다.
잊지 못할 추억을 만들어 냅니다.

아쿠아 좌대를 운영하시는 사장님입니다.
친절하게 초보자에게 채비법과 낚시법을 알려 주십니다.

와우~~
단체로 오신분이 참돔을 잡아 냅니다.
멋지십니다.

우리의 호프가 아닌 호구 두분은 이때까지 꽝!
오전 10시 2차 방류를 기다립니다.
이번에도 못잡으면 철수한다.
경고를 했습니다.

방류는 1인당 2kg을 기준으로 한다고 합니다.

바로 방류발이 나옵니다.
들어가면 바로 한꺼번에 입질을 받습니다.

경쟁하듯 잡아내는 우럭!
당연히 잡는 사람이 임자입니다.

입질이 쏟아집니다.
하지만 우리들의 호구는 못잡네요.
남들은 잡는데 나만 못잡는다면?
수심층 확인을 해보는 것이 좋습니다.
우럭은 거의 바닥에서 놀기 때문에 바닥수심을 찾아야 합니다.
하지만 바닥이 그물이라 채비가 걸리기 때문에
정확한 수심을 찾아 살짝 띄워야 합니다.

좋습니다.

어느새 이만큼...

맛있겠지요?

여성분도 여러마리를 잡으셨습니다.

그런데...
옆 노지에서 숭어 낚시를 하시는분이 2분 계셨습니다.
힘 좋은 붕어를 잡아내시네요.
가두리가 아닌 노지에서 낚시하시는 분은 3만원 이라고 합니다.

시간이 지나면 조과는 차이가 납니다.
우리의 호구 2명은 3차 방류까지 6마리...
이 정도는 잡아야 하는데...

평균이 이 정도입니다.

씨알 좋은 우럭입니다.

텐텐님이 4마리 잡았다고 큰소리 칩니다.
반면 반딧불님은 달랑 한마리...
한마리는 방류중에 살림망으로 자동...

축하드립니다.

즉석에서 끓여 먹는 매운탕입니다.
이 분들은 모두 준비를 해서 오셨네요.

우리도 출출하니 라면 먹자구요.
한쪽옆에는 준비된 주방이 있습니다.
냉장고와 가스렌지, 전자렌지까지...
밑에는 냄비와 후라이판까지 준비되어 있으니
누구던지 재료만 가지고 오시면 됩니다.

이곳에서 드시는 회는 무료로 떠 드립니다.
하지만 가지고 가시는것은 유료라고합니다.

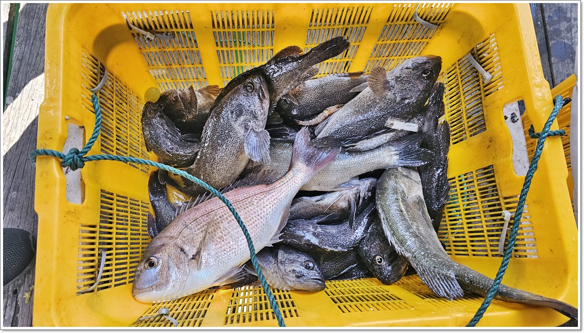
회를 뜨려고 가지고 오신 전리품.
많이 잡으셨습니다.

단체로 오신 분들에게는 잡히지 않은 녀석들도
그물을 들어 내어 이날 방류한 물고기를 모두 드립니다.

이분은 참돔과 농어도 잡으셨네요.

이날 고등어와 전어 낚시를 하신분은 조황이 저조합니다.
오전 10시의 조황이지만 이후 좀 나왔다고 합니다.

우럭은 잘 손질하여 매운탕으로 준비합니다.

자연산 숭어를 잡으신분이 많이 잡았다고 한마리 주셨습니다.
그렇게 떠온 숭어를 큼직큼직하게 썰었습니다.

그리고 잡은 우럭으로 떠온 우럭회입니다.

저녁 식사는 회로 시작해서 매운탕으로 끝났습니다.

텐텐님이 아채와 양념등을 준비해와
맛있게 끓여 냅니다.

이번출조는 주꾸미와 우럭이 함께한 먹방이었습니다.
힘들게 잡은 붕어는 바로 방생하지만
이런 먹거리 낚시도 재미있습니다.
아쿠아좌대 : 010-8816-4499
감사합니다.

첫댓글 또 가고잡다
t소주한잔 캬